定期航空協会の提案及び東京都の提案の数値等はパンフレット等に基づくものであり、運輸省は関与していない。
| (注)1 |
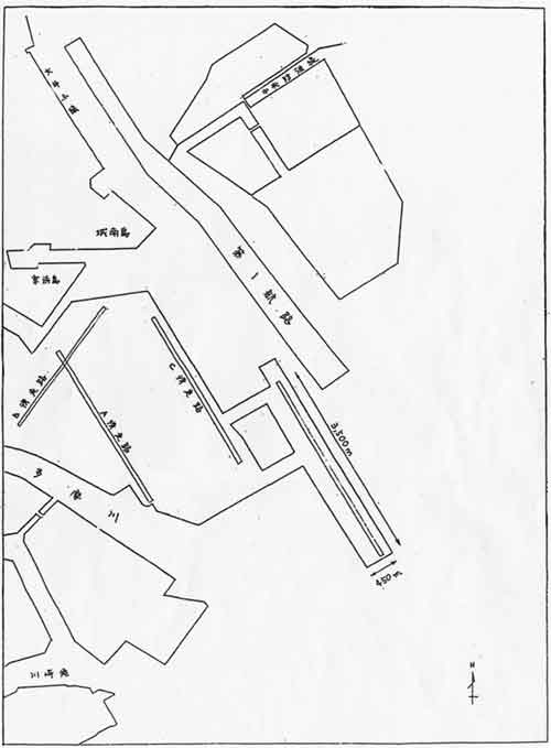
主な利用滑走路であり、北風時のC滑走路への着陸、南風時のC滑走路からの離陸も行われる。 |
| (注)2 |
低視程時にはB滑走路へのILS進入となる。 |
| (注)3 |
6:00~8:30の到着、20:30~23:00の出発及び23:00~6:00の発着を除く。(平成14年7月から) |
全体計画図
全体計画
| ●拡張面積 |
295ha (現行1,100ha) |
| ●新設滑走路(仮称D滑走路) |
3,000m(C滑走路に平行) |
|
|
再拡張の方法
以下のいずれかの方式又はその組合せが考えられます。
|
|
滑走路運用方式
| ●A・D滑走路 |
離陸又は着陸専用 |
| ●C滑走路 |
離着陸兼用 |
| (同時離陸、同時着陸は前提としておりません) |
|
|
飛行経路
| ● |
騒音問題への対応から、住宅密集地上空の飛行を最小限に抑えるため、FMS装置を利用して海上を中心とした経路(FMSルート)を設定しています。
(年1%程度の悪天候時には、陸上側を飛行することもあります。) |
|
|
処理能力
| ●発着可能回数 |
42.3万回/年(2002年7月発着回数27.5万回) |
| ●取扱い可能旅客数 |
1億人超/年 |
| (1999年度羽田空港国内線利用者数5,227万人のほぼ2倍) |
|
|
東京都の提案
● 羽田空港の再拡張について
(1)首都圏空港の現状 首都圏においては、空港処理容量が国際線、国内線とも大きく不足している状況であり、首都圏の発展に悪影響を与えるとともに、我が国の国際競争力を確保していくうえで致命的な欠陥と指摘されている。
このため、桟橋方式を用いて羽田空港を沖合に拡張し、D滑走路を新たに整備する。
(2)羽田空港再拡張の効果
| 1. |
再拡張により、国内定期便が使用している発着枠約25万回を約41万回にできる。 |
| 2. |
既存インフラを有効活用することにより、首都圏第3空港の建設と比べ、大幅な建設経費の削減が図れる。(6~7千億円削減)
| ※ 関西国際空港建設費 |
第1期事業費1兆5千億円 |
|
第2期事業費1兆6千億円 |
|
| 3. |
桟橋方式で、水面から15mのところに滑走路を建設することにより、既存航路に影響が少ない形で整備できる。 |
(3)整備期間等
概ね、期間は10年以内、費用は8~9千億円程度。
<参考>
| 滑走路長 |
新D滑走路:3,500m |
| 滑走路位置 |
C滑走路から1,310m沖合 |
| 滑走路の高さ |
干潮時水面から15m |
| 施工方法 |
桟橋方式 |
|

今後検討が必要な、羽田再拡張案についての主な課題
| 1. |
安全を確保した上で、十分な処理容量を有する飛行経路及び空域を設定可能か |
| |
● |
FMS等を使用した飛行経路の設定の技術的可能性 |
| |
● |
南風の悪天候時における処理容量の確保 |
| 2. |
大きな航空機騒音影響を及ぼさないか |
| |
● |
市街地(特に、羽田空港の北側、千葉県木更津市周辺等)への影響 |
| 3. |
海上交通・港湾機能に対し、大きな影響を及ぼさないか |
| |
● |
第一航路を通行しているコンテナ船等の大型船舶、羽田沖を通行している小型タンカー等への影響 |
| 4. |
処理容量が増加した場合、エプロンやターミナル等の空港施設を増設可能か |
| 5. |
適切な工費で施工可能か |
|