航空

羽田空港の再拡張に関する基本的考え方について

羽田空港の再拡張に関する基本的考え方について、関係者と調整のうえ以下の通り決定しました。

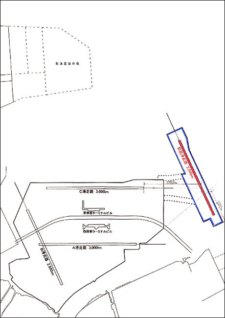
羽田空港再拡張案


ページの先頭に戻る