東脊振トンネル有料道路
(一般国道385号東脊振バイパス)の事業評価
新規事業採択時評価


(1)現道幅員狭小及び線形不良区間の解消

事業前


 一般国道385号の坂本峠付近は、幅員狭小及び線形不良のため、一般車の通行、離合に支障を来しています。


【坂本峠付近の幅員狭小状況】
坂本峠付近の幅員狭小状況
現道の最小幅員
現道の最小幅員


東脊振トンネル有料道路(東脊振バイパス)を整備することによって

事業後


 
東脊振IC〜福岡市内
65分 → 50分
15分間短縮

 幅員狭小、線形不良区間が解消され、交通の安全が確保されます。
これにより、福岡都市圏への時間短縮が図られます。 また、大型車の通行も可能となります。



(2)積雪・凍結、災害等による交通規制の解消

事業前


 冬期の積雪、凍結や降雨期の災害により、交通規制や通行止めが度々発生しています。

【坂本峠付近の積雪・凍結状況】
【災害による通行止め状況】

交通規制状況


東脊振トンネル有料道路(東脊振バイパス)を整備することによって

事業後


  災害による通行止めや、積雪・凍結による交通止め、チェーン規制などの日数が減小し、円滑な交通の確保が図れます。



(3)大型車交通不能区間の解消

事業前


 国道385号の坂本峠付近は、幅員狭小、線形不良のため現在積2トン以上貨物の通行が禁止されています。

【積2トン以上貨物『通行止め』となっています】
 
積2トン以上貨物『通行止め』となっています


東脊振トンネル有料道路(東脊振バイパス)を整備することによって

事業後


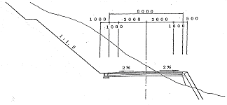
【計画断面図】
 
一般部
(8.0)
W=6.0m
トンネル部
(7.0)
W=6.0m

 大型車の通行が可能となり、物流の定時制・安定性の確保が図られ、効率的な物流ネットワークを形成することが可能となります。




(4)地域の活性化

事業前


 福岡県南西部や佐賀県東部地区から、福岡都市圏への最短ルートであるが、狭小及び線形不良のため、一般車の通行、離合に支障を来しています。


東脊振トンネル有料道路(東脊振バイパス)を整備することによって

事業後


  【観光客で賑わう吉野ヶ里歴史公園】
観光客で賑わう吉野ヶ里歴史公園

 時間短縮や隣県とのネットワーク強化、物流の効率化が図られることにより、佐賀県東部地域の活性化が期待されています。
 また、平成13年4月に第一期開園の国営吉野ヶ里歴史公園の集客にも寄与するものと期待されています。



(5)費用と効果の確認

費用便益比 1.9



  
 道路整備の効果は多種多様ですが、このうち金額に換算できる効果に限定して、もたらされる便益を算出すると199億円となります。
 これに対して、建設や維持管理にかかる費用は102億円です。
 したがって、本事業にかかる費用と生じる便益より算出される費用便益比は1.9となります。

総費用総便益計画交通量基準年
102億円199億円
事業費維持管理費走行時間短縮便益走行費用減少便益交通事故減少便益
67億円35億円185億円14億円0億円3,900台/日平成14年
  ※費用、便益は、供用開始後40年後までに発生するものものを現在の価値に換算した上で、合計して算出しています。


All Rights Reserved, Copyright (C) 2001, Ministry of Land,Infrastructure and Transport